
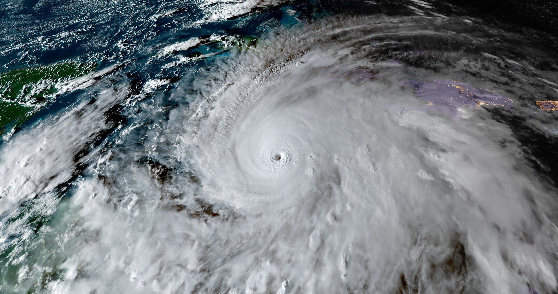
Η τεχνητή νοημοσύνη της Google DeepMind κατάφερε να προβλέψει με εντυπωσιακή ακρίβεια την πορεία και την ισχύ του κυκλώνα Μελίσα, ο οποίος σαρώνει την Καραϊβική αφήνοντας πίσω του δεκάδες νεκρούς και τεράστιες καταστροφές.
Το αμερικανικό Εθνικό Κέντρο Κυκλώνων (NHC) χρησιμοποίησε το μοντέλο της DeepMind σε πραγματικό χρόνο, προκειμένου να εκδώσει έγκαιρες προειδοποιήσεις για την Τζαμάικα, την Κούβα και άλλες περιοχές.
Σύμφωνα με το Nature, η τεχνητή νοημοσύνη προέβλεψε την ταχεία ενίσχυση του φαινομένου μέρες πριν οι μετεωρολόγοι μπορέσουν να το επιβεβαιώσουν.
«Δεν είμαι σίγουρος αν έχω ξαναδεί τόσο καλά αποτελέσματα από ένα νέο μοντέλο τόσο γρήγορα», σχολίασε ο Τζέιμς Φράνκλιν, πρώην επικεφαλής του NHC.
Από την πλευρά του, ο ερευνητής Μπράιαν ΜανΝόλντι του Πανεπιστημίου Μαϊάμι χαρακτήρισε το σύστημα της DeepMind «σίγουρα ένα από τα κορυφαία, αν όχι το κορυφαίο».
Το μοντέλο εκπαιδεύτηκε σε δύο βάσεις δεδομένων: μια τεράστια συλλογή παγκόσμιων μετεωρολογικών μετρήσεων και μια ειδική βάση με στοιχεία 5.000 κυκλώνων των τελευταίων 45 ετών.
Αυτή η στοχευμένη εκπαίδευση το βοήθησε να προβλέπει με μεγαλύτερη ακρίβεια την ισχύ των φαινομένων – κάτι που δυσκολεύει ακόμα τα περισσότερα μετεωρολογικά μοντέλα.
Ήδη από τις 21 Οκτωβρίου, η AI της Google έδινε πιθανότητα 50–60% ο κυκλώνας να φτάσει στην κατηγορία 5 – τη μέγιστη δυνατή. Δύο ημέρες αργότερα, το ποσοστό ανέβηκε στο 80% και το NHC εξέδωσε προειδοποίηση για καταιγίδα ιστορικών διαστάσεων.
Σήμερα, οι άνεμοι της Μελίσα φτάνουν τα 298 χλμ/ώρα με πίεση στο μάτι της καταιγίδας στα 892 millibar, ισοφαρίζοντας το ρεκόρ του ισχυρότερου κυκλώνα στον Ατλαντικό.
Η DeepMind προειδοποιεί ότι η επιτυχία της πρόβλεψης δεν αρκεί για γενικά συμπεράσματα, ωστόσο οι ειδικοί μιλούν ήδη για ένα νέο εργαλείο που μπορεί να σώσει ζωές – ςε έναν πλανήτη όπου η κλιματική αλλαγή κάνει τους κυκλώνες όλο και πιο καταστροφικούς.
Tο pronews.gr δημοσιεύει κάθε σχόλιο το οποίο είναι σχετικό με το θέμα στο οποίο αναφέρεται το άρθρο. Ο καθένας έχει το δικαίωμα να εκφράζει ελεύθερα τις απόψεις του. Ωστόσο, αυτό δεν σημαίνει ότι υιοθετούμε τις απόψεις αυτές και διατηρούμε το δικαίωμα να μην δημοσιεύουμε συκοφαντικά ή υβριστικά σχόλια όπου τα εντοπίζουμε. Σε κάθε περίπτωση ο καθένας φέρει την ευθύνη των όσων γράφει και το pronews.gr ουδεμία νομική ή άλλα ευθύνη φέρει.
Δικαίωμα συμμετοχής στη συζήτηση έχουν μόνο όσοι έχουν επιβεβαιώσει το email τους στην υπηρεσία disqus. Εάν δεν έχετε ήδη επιβεβαιώσει το email σας, μπορείτε να ζητήσετε να σας αποσταλεί νέο email επιβεβαίωσης από το disqus.com
Όποιος χρήστης της πλατφόρμας του disqus.com ενδιαφέρεται να αναλάβει διαχείριση (moderating) των σχολίων στα άρθρα του pronews.gr σε εθελοντική βάση, μπορεί να στείλει τα στοιχεία του και στοιχεία επικοινωνίας στο info3@pronews.gr και θα εξεταστεί άμεσα η υποψηφιότητά του.