
Σεισμικές δονήσεις ξεκίνησαν να γίνονται αισθητές σε μία τεκτονική δομή ανάμεσα στην ανατολική Αφρική και τη Μαδαγασκάρη στις 10 Μαΐου 2018.
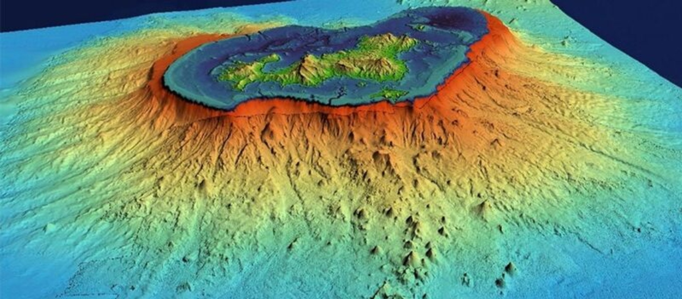
Στις 15 Μαΐου το νησί Mayotte χτυπήθηκε από σεισμό 5.8 Ρίχτερ, με τους επιστήμονες γρήγορα να καταλαβαίνουν πως πρόκειται για ένα ηφαιστειακό γεγονός που παρόμοιο δεν είχαμε δει ξανά. Το επίκεντρο εντοπίστηκε 50 χιλιόμετρα ανατολικά του Mayotte. Αρκετοί γαλλικοί κυβερνητικοί οργανισμοί έσπευσαν να ερευνήσουν και το αποτέλεσμα τους άφησε με το στόμα ανοιχτό, αφού βρήκανε ένα υποθαλάσσιο βουνό το οποίο δεν υπήρχε εκεί λίγες μέρες πριν. Η δομή είχε ύψος 820 μέτρων από τον πυθμένα της θάλασσας. 
Τα ευρήματα των επιστημόνων δημοσιεύτηκαν πρόσφατα σε νέο paper. Η ομάδα ξεκίνησε να ερευνά την περιοχή το Φεβρουάριο του 2019 καλύπτοντας με σόναρ μία περιοχή 8.600 τετραγωνικών χιλιομέτρων, ενώ ανέπτυξε και ένα δίκτυο σεισμόμετρων σε βάθος 3.5 χιλιομέτρων. Από το Φεβρουάριο έως το Μάιο ανιχνεύθηκαν 17.000 σεισμικά συμβάντα, ενώ 84 ήταν σε πολύ χαμηλές συχνότητες, πράγμα σπάνιο. Με τα δεδομένα οι επιστήμονες αναπαράστησαν τη δημιουργία του νέου ηφαιστείου, ξεκινώντας με μία ποσότητα μάγματος βαθιά στην ασθενόσφαιρα.
Οι τεκτονικές διεργασίες προκάλεσαν ρωγμές στη λιθόσφαιρα, απελευθερώνοντας το μάγμα και προκαλώντας και άλλους σεισμούς. Τελικά το υλικό βρήκε το δρόμο του για τον πυθμένα της θάλασσας, όπου εξερράγη παράγοντας 5 κυβικά χιλιόμετρα λάβας και δημιουργώντας το νέο ηφαίστειο.
Πρόκειται για τη μεγαλύτερη υποθαλάσσια έκρηξη που έχει σημειωθεί. Ο όγκος και η ροή της λάβας κατά το συμβάν είναι συγκρίσιμα με αυτά που παρατηρούνται στις μεγαλύτερες εκρήξεις της Γης. Μελλοντικά σενάρια μπορεί να συμπεριλαμβάνουν κατάρρευση της καλντέρας, υποθαλάσσιες εκρήξεις ή παράκτιες εκρήξεις. Μεγάλες ροές λάβας δείχνουν πως αυτό έχει συμβεί και στο παρελθόν. Από την ανακάλυψη του νέου ηφαιστείου έχει στηθεί ένα παρατηρητήριο για να παρακολουθεί τη δραστηριότητα σε πραγματικό χρόνο.
Tο pronews.gr δημοσιεύει κάθε σχόλιο το οποίο είναι σχετικό με το θέμα στο οποίο αναφέρεται το άρθρο. Ο καθένας έχει το δικαίωμα να εκφράζει ελεύθερα τις απόψεις του. Ωστόσο, αυτό δεν σημαίνει ότι υιοθετούμε τις απόψεις αυτές και διατηρούμε το δικαίωμα να μην δημοσιεύουμε συκοφαντικά ή υβριστικά σχόλια όπου τα εντοπίζουμε. Σε κάθε περίπτωση ο καθένας φέρει την ευθύνη των όσων γράφει και το pronews.gr ουδεμία νομική ή άλλα ευθύνη φέρει.
Δικαίωμα συμμετοχής στη συζήτηση έχουν μόνο όσοι έχουν επιβεβαιώσει το email τους στην υπηρεσία disqus. Εάν δεν έχετε ήδη επιβεβαιώσει το email σας, μπορείτε να ζητήσετε να σας αποσταλεί νέο email επιβεβαίωσης από το disqus.com
Όποιος χρήστης της πλατφόρμας του disqus.com ενδιαφέρεται να αναλάβει διαχείριση (moderating) των σχολίων στα άρθρα του pronews.gr σε εθελοντική βάση, μπορεί να στείλει τα στοιχεία του και στοιχεία επικοινωνίας στο info3@pronews.gr και θα εξεταστεί άμεσα η υποψηφιότητά του.